El potente huracán Erick tocó tierra en el estado de Oaxaca, México, en la madrugada del jueves, dijo el Centro Nacional de Huracanes de Estados Unidos (NHC, por sus siglas en inglés).
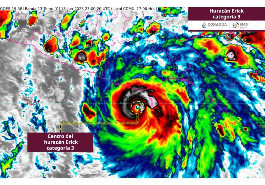
El meteoro estaba a unos 30 kilómetros (20 millas) al este de Punta Maldonado y tenía vientos máximos sostenidos de 205 kilómetros/hora (125 millas por hora), indicó el NHC, con sede en Miami. Avanzaba en dirección noroeste a 15 km/h (9 mph), agregó.
Erick perdió algo de potencia justo antes de tocar tierra, después de haberse convertido en un meteoro de categoría 4 “extremadamente peligroso”, durante la noche. Un huracán se considera de gran categoría cuando llega a la 3, con vientos que alcanzan los 210 km/h (129 mph).
La tormenta podría acarrear vientos devastadores y causar inundaciones repentinas y peligrosas marejadas, según la previsión meteorológica.
Se espera que Erick se debilite rápidamente sobre las montañas de la costa sur del país, y es posible que el sistema se disipe el jueves por la noche o a primera hora del viernes, de acuerdo con el NHC.
La tormenta se abrió paso entre los balnearios de Acapulco y Puerto Escondido, azotando una franja de la costa poco poblada próxima a la frontera entre los estados de Oaxaca y Guerrero. con campos agrícolas y pequeñas localidades pesqueras.
Acapulco amaneció el jueves bajo amenazadoras nubes oscuras, pero sin una gota de lluvia y con escaso oleaje en su playa principal.
A diferencia de lo que ocurrió en octubre de 2023 con el impacto del huracán Otis, de categoría 5, en Acapulco —que dejó 52 muertos y una treintena de desaparecidos— esta vez las autoridades mexicanas emitieron numerosas alertas tempranas. Y la población empezó desde la mañana del miércoles a tomar precauciones.
La presidenta mexicana, Claudia Sheinbaum, envió un mensaje a través de X, antes Twitter, al final de la tarde en donde pedía a los habitantes de Guerreo y Oaxaca que se quedaran en sus casas, que estuvieran juntos y que si vivían en zonas bajas o cercanas a ríos, se trasladaran a los albergues habilitados. Todas las actividades quedaron suspendidas.
El mar se veía fuertemente agitado al inicio de la noche en Puerto Escondido, donde algunos pescadores aún trataban de retirar sus embarcaciones de las playas, mientras las olas arrastraban ya basura, sillas y otros objetos con la subida de la marea.
El agua desapareció la playa de bahía principal y llegó dentro de algunos restaurantes que están en primera línea, mientras algunos vecinos hacían compras de última hora en supermercados. Los negocios cerraron temprano y las calles lucían vacías con el cielo ya oscuro.
La coordinadora nacional de protección civil de México, Laura Velázquez, dijo el miércoles que Erick podría traer lluvias “torrenciales” a Guerrero, Oaxaca y Chiapas en el sur de México. La región montañosa a lo largo de la costa es especialmente propensa a deslaves y hay numerosos ríos que podrían desbordarse.
Según las previsiones, el huracán podría dejar lluvias de hasta 40 centímetros en esos dos primeros estados y, con menos intensidad, también en Chiapas, Michoacán, Colima y Jalisco.
La gobernadora de Guerrero, Evelyn Salgado, confirmó que las escuelas se mantendrían cerradas el jueves por segundo día y que se prepararon 582 albergues para recibir a quienes necesitaran evacuar sus viviendas. Las advertencias de las autoridades por la llegada de Erick se extendieron desde Puerto Ángel a Acapulco.
En la turística ciudad, con el sol aún brillando en el cielo en la mañana del miércoles y algunos turistas aún aprovechando para bañarse en el mar o broncearse en la arena, muchos pobladores comenzaron sus preparativos. No se confiaron, esta vez, por el buen clima.
“Con el Otis estaba tranquilo todo el día, estuvo soleado y, a media noche, fueron dos horas de vientos muy fuertes y vimos lo que sucedió al día siguiente”, recordaba Adrián Acevedo, mientras retiraba uno de sus botes del agua. Hace algo más de año y medio, perdió dos embarcaciones, algunos compañeros y quedó impactado por la huella que dejó aquel huracán.
En algunos puntos de la ciudad se observaba cómo pequeños comerciantes cubrían las fachadas de sus locales con tablas de madera mientras que otros colocaban bolsas de arena en los alrededores de los comercios. Todavía a mitad de tarde algunos pescadores seguían en el puerto de Manzanillo sacando del mar sus embarcaciones con la ayuda de un pequeño tractor.
El ciclón ha reavivado muchos temores. Acapulco quedó destrozada después de Otis y arrasó por completo, entre otros, el restaurante de Carlos Ozuna Romero, un empresario de 51 años que instaló su negocio a orillas de una de las playas de la turística ciudad.
“Los avisos de las autoridades nos infunden miedo y obviamente nos hacen evocar todo lo que ya pasamos”, dijo Ozuna Romero mientras orientaba a sus trabajadores sobre cómo resguardar las sillas y mesas del restaurante para hacer frente al posible impacto de Erick.
Frente al restaurante, un puñado turistas en traje de baño permanecía sentados en sillas plásticas escuchando canciones de reggaetón y otros aprovechaban las últimas horas de sol para zambullirse en el mar que estaba completamente tranquilo.
En paralelo, la ciudad se veía con una fuerte presencia de la Guardia Nacional y de la policía, así como de camionetas de la compañía eléctrica. Con Otis, se fue la luz en la primera noche y tardó días en restablecerse el servicio. La Capitanía de Barco también prohibió a todos los tripulantes de las embarcaciones que pernoctaran en los botes, como suelen hacer para asegurar el cuidado de los mismos, y muchos de ellos murieron o desaparecieron en el mar con el ciclón de categoría 5 de 2023.
Verónica Gómez, una trabajadora de una empresa naviera de 40 años, no ocultaba su temor. “Todos estamos asustados porque pensamos que puede pasar lo mismo”, recordó sobre los enormes daños a la infraestructura, las pérdidas y las víctimas que hubo en Acapulco, donde viven un millón de personas.
Ella cargaba un botellón de agua y reconoció haber hecho acopio de algunos alimentos enlatados. Lo mismo que hicieron muchos otros vecinos el miércoles aprovechando los negocios que seguían abiertos durante el día.
Francisco Casarubio, un coreógrafo de 46 años, llevaba un cartón de huevos mientras hacía algunas compras de última hora antes de la tormenta. También tenía planeado comprar arroz, frijoles y algo de comida enlatada.
Otis, admitió Gómez, dejó muchos aprendizajes a los pobladores de Acapulco. Y ante la espera de la llegada de Erick, aún sin saber cuál será su impacto, la mujer confiaba en que “ahora no nos va agarrar de sorpresa”.
Fuente: AP


